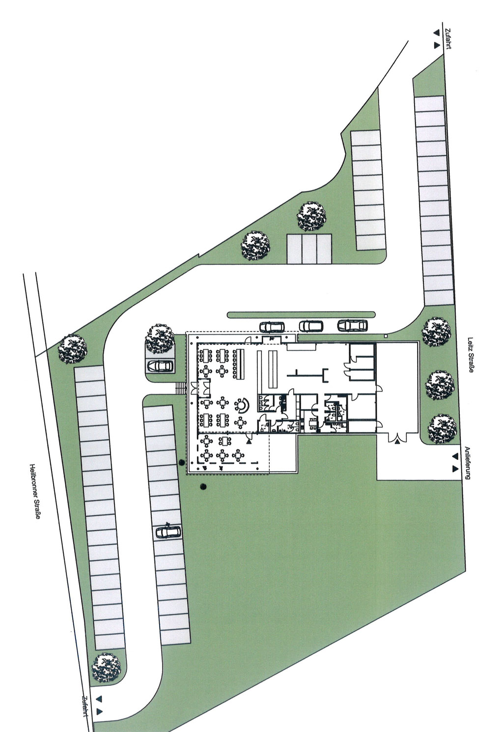
Restaurant - Heilbronner Strasse / Oasis
Entlang der Heilbronner Strasse sollten vier bauähnliche Geschäftshäuser Oasis I –IV entstehen. Unsere Planung sah im Erdgeschoß im Auftrag des Betreibers ein KFC-Restaurant vor. Alternativ zu dieser „eingeschobenen“ Variante in den Baukomplex wurde auch ein modulares Konzept auf einem Nachbargrundstück untersucht.


